Skąd pomysł na wykup działek pod boisko?
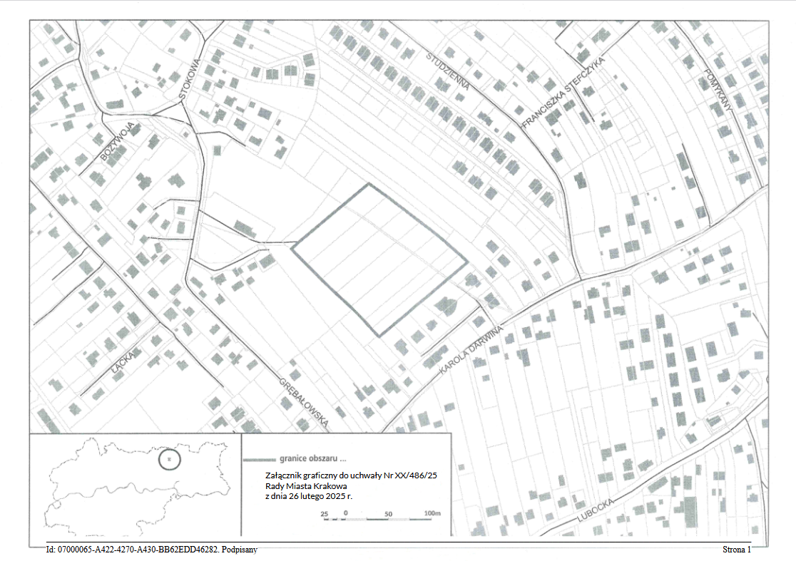
Wszystko zaczęło się od uchwały Rady Miasta Krakowa, która otwiera drogę do zmiany przeznaczenia działek budowlanych na tereny sportowe. W planach jest powiększenie obiektu klubu Grębałowianka, który – jak tłumaczą radni Koalicji Obywatelskiej – rozwija się dynamicznie i potrzebuje więcej miejsca dla dzieci uczestniczących w zajęciach sportowych.
Liczba dzieci, które chodzą na zajęcia i działające sekcje sportowe, wymagają większej przestrzeni. Dlatego pojawił się pomysł, by miasto wykupiło grunty od prywatnych właścicieli
– mówi radny Grzegorz Stawowy.
Dodaje, że uchwała dotycząca zmiany miejscowego planu zagospodarowania przestrzennego ma pokazać, czy wykup gruntów będzie w ogóle możliwy pod względem prawnym.
Mieszkańcy: „Nie zostaliśmy poinformowani”
Właściciele działek nie kryją oburzenia. Twierdzą, że uchwała została wprowadzona do porządku obrad sesji Rady Miasta w trybie nagłym – zaledwie kilka godzin przed głosowaniem.
To uniemożliwiło nam udział w sesji i wyrażenie sprzeciwu. Dowiedzieliśmy się o sprawie po fakcie
– mówi Rafał Madej, jeden z właścicieli działek, który poprosił Radio Kraków o interwencję.
Mieszkańcy podkreślają, że nie zamierzają sprzedawać swoich działek, bo mają wobec nich własne plany inwestycyjne. – Jeśli działki zostaną przekształcone w teren sportowy, nie będziemy mogli wybudować tam domów – dodaje Madej.
Czy miasto może przejąć działki bez zgody właścicieli?
Zastępca prezydenta Krakowa, Stanisław Kracik, zapewnia, że miasto nie może przejąć prywatnych działek bez zgody właścicieli – wyjątkiem są jedynie inwestycje drogowe, objęte tzw. specustawą.
W przypadku inwestycji sportowych taka ustawa nie obowiązuje. Aby wykupić działkę, właściciel musi wyrazić zgodę
– podkreśla Kracik.
Plan zagospodarowania przestrzennego – forma presji?
Mimo tych zapewnień mieszkańcy obawiają się, że zmiana planu zagospodarowania przestrzennego może być formą pośredniego nacisku. Nawet jeśli miasto nie będzie mogło przejąć działek siłą, zmiana przeznaczenia gruntu może zablokować możliwość ich zabudowy.
– To byłby tzw. łagodny przymus. Zmieniamy przeznaczenie działki, więc właściciel nie może wybudować domu, ale my też nie osiągamy celu. Taka praktyka nie jest zgodna z ustawą o samorządzie terytorialnym – dodaje Kracik. _ Nie chcemy fundować mieszkańcom takich "prezentów". Nie o to chodzi.
Zmiana miejscowego planu zagospodarowania przestrzennego to proces, który – jak zaznaczają urzędnicy – może potrwać około roku.